
美容皮膚科 診療メニュー
美容皮膚科診療の流れ
step 01 受付
美容皮膚科専用の問診表に記載します。
step 02 メイクを落とします
顔の症状では、診察前にパウダールームでメイクを落とします。
step 03 診察&カウンセリング
医師が肌を診察し、症状にあった治療方法を提案します。
step 04 予約・美容施術
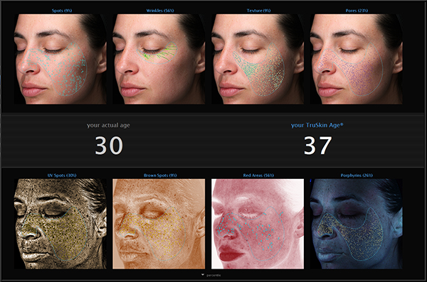
診察・カウンセリングでご納得していただけましたら、施術の予約をします。当日の施術をご希望の場合はあらかじめお知らせ下さい。肌画像診断機VISIA
VISIAの解析項目
シミの解析
カラー画像から解析を行います。表面の色素沈着を全て解析します。色、周辺の皮膚色とのコントラスト、円形の形状という特徴より解析されます。
毛穴の解析
形状が周辺部位より、へこんでいるため、陰影により、より暗い色として画像に移ります。円形の形状と色で解析されます。シミとの区別はサイズによります。
シワの解析
細い線形であり、周辺皮膚色より暗い、という特徴を捉えて解析を行います。緑色はより深いしわを示しています。
キメ解析
凹凸により皮膚の色がばらついている部分がマーキングされます。黄色は凸部分、青は凹部分です。光がへこんでいる部分に当たれば、暗く、盛り上がっている部分に当たれば明るくなるということから、判断をしています。
隠れジミの解析
メラニンがUVに特異的に吸収されるため、可視光では確認できない、見えずらい色素沈着を確認できます。
ポルフィリンの解析(ニキビ肌)
P-acneの代謝物であるポルフィリンはUV照射を行うと蛍光発光する特性があります。ポルフィリンを観察し、間接的にニキビができやすい肌かどうか判断します。
皮膚の色の解析
皮膚の色は主にメラニン、ヘモグロビンの割合で構成されているといわれており、撮影したカラー画像をメラニン、ヘモグロビン成分に分けて解析します。隠れシミ画像で移りにくいシミや赤ら顔、ニキビなどの皮膚の炎症を評価します。
ご予約のキャンセルについて
前日までなら、キャンセル料なしで予約日時や内容の変更・キャンセルが可能ですので、お早目にお電話にてご連絡ください。その他ご注意点
※美容カウンセリング、ピアッシング、美容注射(点滴を除く)はオンライン当日順番取りでも受診できます。よくある質問Q&A
カウンセリングだけでも受診できますか?
できます。治療を受けるかどうかは十分考えてから決めていただくことが大事です。カウンセリング後、ゆっくり検討して下さい。
カウンセリング時に化粧は落とさなければなりませんか?
肌の状態を診断するためには落としていただく必要があります。 シミの場合、シミの部分だけでなく、ベースの肌の状態も治療に影響しますので、なるべく全体を落としていただいたほうがより正しい診断ができます。どうしても全体を落としたくない場合は診察前にスタッフにお申し出ください。