白石ガーデンプレイス皮膚科クリニック

毛穴
PORES

毛穴が目立つ原因は

  • 皮脂の分泌過多、角栓づまり
  • メラニン色素、うぶ毛による黒ずみ)
  • 肌の弾力低下(たるみ)による毛穴の開き
  • 毛穴部分の角層の不全角化(角化異常)
  • 目立つ毛穴は肌の表面に近い部分がすり鉢状に開いており、それが外見上影となって、毛穴が目立つ原因となります。


毛穴が目立つ原因 毛穴が目立つ原因

毛穴の治療

ダウンタイムがある治療

治療により一時的に赤みや皮下出血が 見られたり、 施術直後にメイクができない 場合があります。


フラクショナルレーザー

フラクショナルレーザー皮膚にレーザーを照射し多数の微小な穴(傷跡)を開け、傷を修復する自然治癒力によりダメージのある肌を生まれたての新しい肌に入れ替える治療です。 たるみ毛穴に 効果があります 施術 直後は出血と赤みがあります。 当日はメイクは控えてください。 赤みは3〜5日 程度 続きます。

フラクショナルレーザーについてはこちら



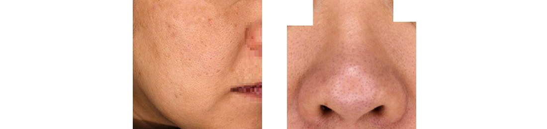
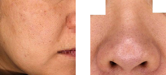
ゼオスキンヘルスセラピューティックプログラム

トレチノイン外用を使ったスキンケアプログラムで毛穴を改善します 。 治療開始一ヶ月程度 発赤、 皮むけなどのレチノイド反応が見られます。 角栓づまりやたるみ毛穴 に効果があります。 美白効果があるので色素沈着による黒ずみにも有効です。 治療期間中、お化粧はできます。
ゼオスキンヘルスについて詳しくはこちら

ゼオスキンヘルスセラピューティックプログラム ゼオスキンヘルスセラピューティックプログラム

ダウンタイムがない治療

施術直後から化粧ができます。 皮下出血や赤みなどは ほとんど見られない治療です( 赤みが出た場合でも通常は数時間以内でおさまります)


ジェネシス

ジェネシス真皮層の線維芽細胞を刺激し、コラーゲンやエラスチンの生成を促すことで、炎症のあるニキビや、ニキビあとを軽減します。

  • 顔全体・・・1回 22,000円
  • 額以外・・・1回 18,700円
  • 両頬・・・・1回 15,400円

    ※2回目以降の治療について レーザー治療後1ヶ月以内:20%OFF、3ヶ月以内:10%OFF



レーザー脱毛

安全で効果的なレーザー脱毛機ジェントルマックスプロは、二種類の波長を搭載し、部位や毛質に適した脱毛ができます。 当院では24mmの大きいスポットサイズを備え、痛みが少なくスピーディーに脱毛ができます。
レーザー脱毛について詳しくはこちら




ハイドラブースター

ハイドラブースター ハイドラブースター


専用の3種類のソリューションを使ったピーリングです。
スパイラル状の水流と吸引により肌に負担なく角栓を除去し、皮脂や毛穴のケアをします。

  • 全顔・・・1回 13,200円
    継続割引 前回治療から1か月以内20%OFF、1~3か月以内10%OFF
  • 鼻のみ・・・1回 7,700円
    継続割引 前回治療から3か月以内 10%OFF



サリチル酸ピーリング

マスクピール当院ではサリチル酸マクロゴールによるケミカルピーリングを行っています。 サリチル酸マクロゴールは表皮角層のみに作用し皮膚の角質を融解して炎症を起こすことなくのみに作用するため、赤みや痛みをおこさず安全にピーリングをすることができます。 ニキビや毛穴の角栓詰まりを取り除くのに効果的で、肝斑や色素沈着などへの美白効果も高いケミカルピーリングです。

  • ・・・ 1回 9,900円
    継続割引 前回治療から1ケ月以内:20%OFF、1ケ月以降~3ケ月以内:10%OFF
    ※背中、二の腕、デコルテメニューもあり。



エレクトロポレーションケアシス

エレクトロポレーションケアシス短いパルスの電気を流して角質細胞の細胞膜に電気孔を開け、イオン導入の20倍以上の浸透力で有効成分を肌の奥深くまで浸透させます。

こんなお悩みに
ニキビ、ニキビあとの赤み・色素沈着、毛穴

    • 臍帯幹細胞由来 カレシム
      ・・・1回 16,500円
    • 成長因子ペップビュー
      ・・・・ 1回 13,200円
    • トラネキサム酸
      ・・・・・・・・1回 8,800円
    ※平日昼割は30%オフ

注射による治療

水光注射 プルリアルデンシファイ

水光注射プルリアルデンシファイは、肌の再生力を高め、ハリやうるおいを取り戻す肌育注射です。
シワ・たるみ・毛穴の開き・乾燥など、年齢とともに気になってくる肌悩みに肌の「土台」からアプローチします。たるみ毛穴に効果的です。

治療と回数

1回でも効果を感じられますが、よりよい効果を持続させるために3週間に1回の間隔で3回行うことが推奨されています。 その後のメンテナンス治療は3~6か月に1回の施術が目安となります。


料金

  • 1回 55,000円
  • 3回 148,500円

毛穴対策・日常のスキンケアのポイント

  • 紫外線はしっかりと。塗る日焼け止め&飲む日焼け止めをつかうと万全です。
  • 角栓は無理に押し出さないようにしましょう。
  • はがすタイプの毛穴パックは禁物!⇒ 毛穴の角化異常が起こり、かえって毛穴が目立ってしまいます。

毛穴によい外用薬・ドクターズコスメ



※表示価格は税込です。

  • オンライン診療
  • Web予約
  • お問い合わせ